NIH Stroke Scale: A Complete Guide to the Tool for Evaluating Stroke Severity and Treatment

NIH Stroke Scale: A Complete Guide to the Tool for Evaluating Stroke Severity and Treatment

Learn about the NIH Stroke Scale, its purpose, administration, score interpretation, uses, training, and limitations. This overview covers key details healthcare providers should know about this important tool for evaluating and guiding treatment for stroke patients.

The NIH Stroke Scale

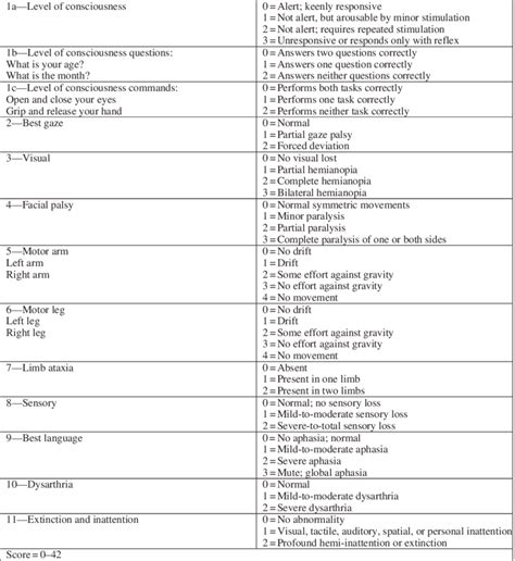
The National Institutes of Health Stroke Scale (NIHSS) is a tool used by healthcare providers to measure the severity and determine the treatment approach for someone experiencing a stroke. The NIHSS assesses a person's neurological function by testing different abilities such as speech, limb movements, and sensory function. The test includes 11 items with scores ranging from 0 to 2 or 0 to 3. The maximum score is 42, with higher scores indicating more severe strokes. The NIHSS helps determine the severity of strokes, guide treatment decisions, and provide important information for research studies.

Purpose of the NIHSS

NIH Stroke Scale Image

The NIHSS was developed in 1989 to provide a reliable, validated, and easy-to-use stroke scale that could be administered uniformly across different hospitals and research studies. It helps measure baseline data and response to treatment. The scale assesses consciousness, speech and language, facial palsy, motor function, sensory loss, coordination, visual fields, extraocular eye movements, and neglect or inattention.

Administering the NIHSS

The NIHSS requires training and certification for accurate scoring. It is administered by asking the patient a series of questions and providing verbal instructions for motor and sensory tasks. Each section is scored based on the patient's ability to perform the requested activity. The test takes approximately 5-10 minutes and should be performed at baseline, after any acute intervention, and periodically throughout the hospital stay.

Interpreting NIHSS Scores

The total NIHSS score indicates the severity of a stroke. Scores can range from 0 (no measurable deficit) to 42 (most severe deficits in all categories). In general, scores under 6 suggest a mild stroke, scores of 7-15 indicate moderate stroke, scores of 16-20 denote moderate/severe stroke, and scores above 20 signify severe stroke. Higher scores are associated with larger strokes, greater deficits, and increased mortality.

Using the NIHSS

The NIHSS is used to help guide acute treatment decisions. For example, patients with scores above 4-5 may be candidates for tPA, a clot-busting drug. It also helps determine prognosis and rehabilitation needs. Scores can predict the likelihood of recovery, length of hospital stay, and discharge destination. The scale provides a consistent measure that can be used across clinical trials and research. Pre-hospital providers may also use a shortened NIHSS to identify large vessel occlusion strokes.

Online Training for the NIHSS

To administer the NIHSS, providers must undergo certification training. The NIH offers a free online training and certification course that reviews each section of the scale, provides video examples, and tests knowledge with case studies. This ensures standardization and accuracy. Various organizations also provide in-person NIHSS training workshops. Certification is required every 2 years to maintain up-to-date knowledge and skills.

Limitations of the Scale

While the NIHSS provides useful stroke severity information, it has some limitations. It focuses mainly on motor deficits and does not assess cognitive or neuropsychological function. It also may not detect more subtle deficits or small improvements that are clinically meaningful. The score can fluctuate during the first 24 hours. Additionally, the scale can be affected by patient factors like comprehension difficulties or pre-existing disabilities. Used in conjunction with other assessments, the NIHSS provides valuable data to guide stroke treatment and management.

Conclusion

The NIH Stroke Scale is an important tool to evaluate the severity and determine the treatment approach for strokes. After certification training, providers can reliably administer the 11-item scale which assesses neurological function. The total score guides acute stroke treatment and provides prognosis information to help determine outcomes. The NIHSS is widely used to provide standardized data across stroke research trials and clinical care settings. Online training courses are available to teach providers how to accurately score and interpret the scale.

Several facts about nih stroke scale apex quizlet

nihss certification

NIHSS Certification Image

NIHSS stands for National Institutes of Health Stroke Scale. To administer the NIHSS for clinical purposes, providers must undergo certification training. This involves an online course that reviews scale sections, provides case studies, and tests knowledge. Certification demonstrates competence in accurately scoring and interpreting the scale. It must be renewed every 2 years.

nihss training

NIHSS Training Image

Proper training is essential for learning how to reliably administer the NIHSS. The NIH offers a free online training course for becoming certified in the scale. It covers how to conduct each section of the neurological exam and accurately score responses. In-person workshops are also available through various healthcare organizations and stroke centers.

nihss online course

NIHSS Online Course Image

The NIH provides a free online training course for becoming certified in the NIH Stroke Scale. This interactive course reviews the purpose, administration, scoring, and interpretation of the scale through instructional sections, videos, and testing scenarios. It takes around 4 hours to complete and results in a certification that is valid for 2 years.

nihss score

NIHSS Score Image

The NIHSS score reflects the severity of a stroke. Scores range from 0-42, with higher numbers indicating greater neurological deficit. Scores below 6 suggest mild stroke, 7-15 moderate, 16-20 moderate/severe, and above 20 severe stroke. The score helps guide acute treatment decisions and provides information about likely outcomes.

nihss assessment

NIHSS Assessment Image

The NIHSS is a stroke assessment tool used to evaluate severity and determine treatment approaches. The 11-item neurological exam tests abilities like speech, motor function, sensation. Each section is scored and combined for a total score reflecting overall deficit. The NIHSS helps assess baseline deficits, changes after treatment, and recovery progress.

nihss test

NIHSS Test Image

The NIH Stroke Scale is a standardized neurological exam that tests different functions like speech, movement, vision, sensation, and cognition. Administered by asking questions and giving instructions, each section is scored to quantify stroke severity. Total scores guide clinicians in acute treatment decisions and predicting patient outcomes.

nihss interpretation

NIHSS Interpretation Image

Interpreting NIHSS scores involves understanding the meaning of the total score as well as individual section scores. Total scores correlate with stroke severity, while section scores reveal deficits in specific neurological domains. Scores also provide insight into prognosis, expected outcomes, and rehabilitation needs. Training teaches proper score interpretation.

nih stroke scale

NIH Stroke Scale Image

The NIH Stroke Scale is a standardized tool used by healthcare providers to evaluate the effects and severity of an acute ischemic stroke. The 11-item neurological examination assesses consciousness, vision, sensation, movement, speech, and cognition. Each section is scored, with total scores ranging from 0-42. Higher scores indicate more severe strokes.

modified nihss

Modified NIHSS Image

The modified NIH Stroke Scale is an abbreviated version used by emergency medical services and non-neurologists to quickly assess stroke severity. It evaluates facial palsy, arm drift, and speech to identify large vessel occlusion strokes that may benefit from endovascular treatment. The modified scale speeds diagnosis and treatment.

Label :nih stroke scale, stroke severity tool, stroke assessment Retry

Keyword : nih stroke scale apex quizlet

0 komentar